Affare Bienes Raíces

  • 3318144497
  • AffareBienesRaices.easybroker.com

Terreno Venta Fracc. Entre Ceibas Zona Country

El Country, Centro

$13,110,000 For Sale

  • 874 m² Lot Size
  • EB-DQ4940 ID
Description

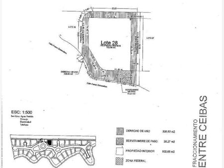
Excelente terreno residencial muy exclusivo. el terreno consta de una superficie de 874.58 m2 que se integran de la siguiente forma: a) 502.68 m2 para desplante de la vivienda; b) 336.63 m2 es un área en la que no se puede construir (solo se mantiene el derecho de uso exclusivo y solo puede establecerse jardín; c) 35.27 m2 que es un área donde se establece una servidumbre.

Affare Bienes Raíces

  • 3318144497
  • AffareBienesRaices.easybroker.com