Affare Bienes Raíces

  • 3318144497
  • AffareBienesRaices.easybroker.com

TERRENO EN VENTA EN COUNTRY CLUB DE GOLF

Yucatán Country Club, Mérida

$3,201,131 For Sale

  • 609.49 m² Lot Size
  • EB-TI3235 ID
Description

Se venden dos terrenos juntos en el Country Club GOLF.
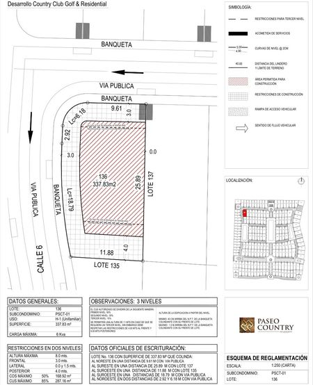
Lote 136
Uso: H-1 Unifamiliar
Superficie: 337.83m2
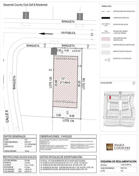
Lote 137
Uso: H-1 Unifamiliar
Superficie: 271.66

Cuenta con un Pórtico de Acceso controlado.
Macro lotes que Albergaran cerca de 100 departamentos.
Parque Ecológico con zonas Arqueológica delimitada.
Servicios Subterráneos, áreas verdes arboledas, ciclo pistas.
Dos zonas Residenciales perfectamente integrada a un entorno comercial, académico y hospitalario.
Con una visión Armónica Urbanista.

Affare Bienes Raíces

  • 3318144497
  • AffareBienesRaices.easybroker.com

Affare Bienes Raíces

  • 3318144497
  • AffareBienesRaices.easybroker.com