Affare Bienes Raíces

  • 3318144497
  • AffareBienesRaices.easybroker.com

TERRENO INDUSTRIAL EN VENTA NEXTIPARK ZAPOPAN

Zapopan Industrial Norte, Zapopan

$8,690,000 For Sale

  • 1,000 m² Lot Size
  • 50 m Lot Length
  • 20 m Lot Width
  • EB-RK5276 ID
Description

DE LA ZONA

El desarrollo industrial en la zona de La Venta del Astillero, Zapopan, Jalisco, ha estado en crecimiento en los últimos años, principalmente por proximidad a importantes vías de comunicación, como la carretera a Nogales (federal 15D) y el anillo periférico, ha comenzado a atraer interés industrial y logístico.


Entre sus factores sobresalientes tenemos su ubicación estratégica, por su cercanía a las principales vías de transporte y su posición entre Guadalajara y el Puerto de Manzanillo (uno de los puertos más importantes del país) hacen de La Venta del Astillero una ubicación atractiva para empresas logísticas y de distribución. También su crecimiento del corredor industrial, ya que se está detonando una expansión del corredor industrial hacia el norte de Zapopan que ha impulsado la construcción de naves industriales y parques logísticos en zonas cercanas, como El Arenal y Carretera a Nogales.


La mejora en la infraestructura vial y de servicios ha generado condiciones favorables para nuevas inversiones industriales, aunque la mayoría de los desarrollos recientes están enfocados en la industria ligera, bodegas logísticas y centros de distribución.


DEL PARQUE
Desarrollo industrial de 43 hectáreas en total, ubicado al norte de Zapopan Jalisco.


Desarrollado para cumplir lineamientos de empresas nacionales extranjeras, con características como:
• Ingreso controlado.
• Vialidades de concreto hidráulico.
• Instalaciones eléctricas de ½ tensión.
• Red contra incendios.
• Planta de tratamiento de agua.
• Pozo de agua propio.
• 303 cajones para visitantes.
• 32 drop lofts.
• Business Center.
• Cancha de usos múltiples.


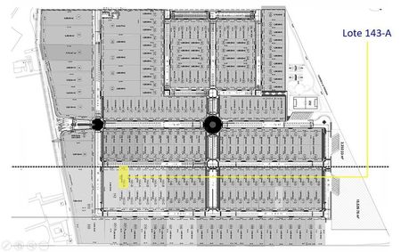
DEL TERRENO
Últimos lotes. El 143-A cuenta con 1000 m2 de superficie con un COS de 0.80. 20 metros de frente por 50 metros de profundidad. Servidumbre frontal de 5 metros. Suministro de agua, red de drenaje sanitaria y pluvial. Suministro de energía de ½ tensión. Para entrega Febrero 2025. Pueden aplicar promociones.

Entrega Febrero 2025.

Disponibilidad, promociones y precio sujetos a cambio sin previo aviso.

Amenities
  • 24 Hour Security

Affare Bienes Raíces

  • 3318144497
  • AffareBienesRaices.easybroker.com

Affare Bienes Raíces

  • 3318144497
  • AffareBienesRaices.easybroker.com