Affare Bienes Raíces

  • 3318144497
  • AffareBienesRaices.easybroker.com

VENTA TERRENO EN CIENEGA DE FLORES

Valle de las Lomas, Ciénega de Flores

$29,000,000 For Sale

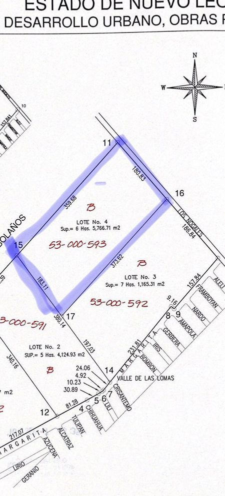
  • 5,766 m² Lot Size
  • 359.68 m Lot Length
  • 183.11 m Lot Width
  • EB-OF6246 ID
Description

VENTA DE TERRENO CIENEGA DE FLORES
5,766 M2.
LARGO 359.68 por 183.11 DE ANCHO, CUENTA CON USO DE SUELO COMERCIAL, INDUSTRIAL Y HABITACIONAL.
IDEAL PARA INVERSIONISTAS.
CON ACCESO Y SALIDA DIRECTO A LA CARRETERA: MONTERREY-CIENEGA-LAREDO.

Los muebles y accesorios que se muestran en las fotografías no están incluidos en el precio de venta de la propiedad.
El precio del inmueble es más gastos de escrituración (derechos, impuestos, honorarios, avalúos) que serán calculados por la notaría al formalizar la operación.
En operaciones de crédito el monto de escrituración se determinará en función de los montos de crédito y las condiciones que establezca la institución financiera.
Nuestro Aviso de Privacidad y cualquier Queja y/o Sugerencia, está disponible en nuestra página www.ayasociadosbr.com.

Affare Bienes Raíces

  • 3318144497
  • AffareBienesRaices.easybroker.com